항해선박 손잡이 아이콘

태안플라이호

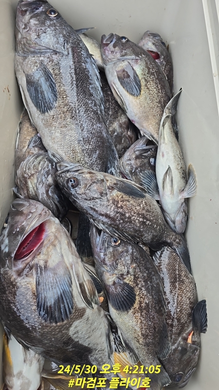
5월30마검포 플라이호 우럭 조황입니다

태안플라이호 대표 사진

태안플라이호

등록일시 : 2024.05.31 08:25 조회 1,690

출조일

2024.05.30 /  (서해 )
태안 마검포 플라이호 선장입니다 금일 8분 우럭 출조 다녀왓습니다 개우럭으로 손맛 징하게 보시고 입항햇습니다 수고 많으셧습니다
  • 태안플라이호의 조황일지 이미지 - 0
  • 태안플라이호의 조황일지 이미지 - 1
  • 태안플라이호의 조황일지 이미지 - 2
  • 태안플라이호의 조황일지 이미지 - 3
  • 태안플라이호의 조황일지 이미지 - 4
  • 태안플라이호의 조황일지 이미지 - 5
  • 태안플라이호의 조황일지 이미지 - 6
  • 태안플라이호의 조황일지 이미지 - 7
  • 태안플라이호의 조황일지 이미지 - 8
  • 태안플라이호의 조황일지 이미지 - 9
  • 태안플라이호의 조황일지 이미지 - 10
  • 태안플라이호의 조황일지 이미지 - 11
  • 태안플라이호의 조황일지 이미지 - 12
  • 태안플라이호의 조황일지 이미지 - 13
  • 태안플라이호의 조황일지 이미지 - 14
  • 태안플라이호의 조황일지 이미지 - 15
  • 태안플라이호의 조황일지 이미지 - 16
  • 태안플라이호의 조황일지 이미지 - 17

    좋아요

    댓글

    어신 앱을 설치하여 댓글에 참여하고 어신의 다양한 혜택을 누려보세요!

    태안플라이호 선상낚시 조황