항해선박 손잡이 아이콘

태안플라이호

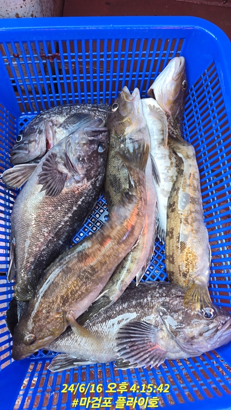
6월16일 마감포 플라이호 외수질 조황입니다

태안플라이호 대표 사진

태안플라이호

등록일시 : 2024.06.17 14:06 조회 2,923

출조일

2024.06.16 /  (서해 )
안녕하세요 플라이호 선장입니다 오늘은 농어는 물이 안가서 포기하고 우럭 광어 놀래미 잡고 들어왓네요
  • 태안플라이호의 조황일지 이미지 - 0
  • 태안플라이호의 조황일지 이미지 - 1
  • 태안플라이호의 조황일지 이미지 - 2
  • 태안플라이호의 조황일지 이미지 - 3
  • 태안플라이호의 조황일지 이미지 - 4
  • 태안플라이호의 조황일지 이미지 - 5
  • 태안플라이호의 조황일지 이미지 - 6
  • 태안플라이호의 조황일지 이미지 - 7
  • 태안플라이호의 조황일지 이미지 - 8
  • 태안플라이호의 조황일지 이미지 - 9
  • 태안플라이호의 조황일지 이미지 - 10
  • 태안플라이호의 조황일지 이미지 - 11
  • 태안플라이호의 조황일지 이미지 - 12
  • 태안플라이호의 조황일지 이미지 - 13
  • 태안플라이호의 조황일지 이미지 - 14
  • 태안플라이호의 조황일지 이미지 - 15
  • 태안플라이호의 조황일지 이미지 - 16
  • 태안플라이호의 조황일지 이미지 - 17
  • 태안플라이호의 조황일지 이미지 - 18

    좋아요

    댓글

    어신 앱을 설치하여 댓글에 참여하고 어신의 다양한 혜택을 누려보세요!